धमतरी। धमतरी पुलिस द्वारा आगामी रामनवमी पर्व पर आयोजित शोभायात्रा के दौरान सुगम एवं सुरक्षित यातायात व्यवस्था सुनिश्चित करने हेतु शोभायात्रा मार्ग का सूक्ष्म निरीक्षण कर आवश्यक बैरिकेडिंग, स्टॉपर एवं ड्यूटी पॉइंट्स को चिन्हित कर व्यवस्थित किया गया है।
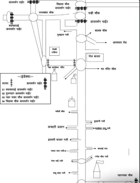
27 मार्च को रामनवमीं पर्व के दिन शहर के अन्दर बडी वाहन का प्रवेश प्रतिबंधित रहेगा, साथ ही घडी चौक से विंध्यवासिनी मंदिर तक समस्त प्रकार के वाहन प्रतिबंधित किया गया है।
*01 जगदलपुर की ओर से रायपुर जाने वालेः-* श्यामतराई बायपास होते हुए रायपुर की ओर।
*02 दुर्ग की ओर से आने वाले वाहन*- बायपास होते हुए खपरी से अर्जुनी मोंड़ होकर सिहावा चौक से नगरी सिहावा की ओर जा सकते है।
*03 रायपुर की ओर से जगदलपुर जाने वालेः-* संबलपुर बायपास से श्यामतराई बायपास होते हुए जगदलपुर की ओर।
*04 जगदलपुर से नगरी-सिहावा बोरई की ओर जाने वालेः-* श्यामतराई बायपास से संबलपुर बायपास होते हुए अर्जुनी मोंड़, सिहावा चौक, शांति कालोनी, नहर नाका से नगरी-सिहावा की ओर।
*05 नगरी-सिहावा की ओर से जगदलपुर जाने वालेः-* नहरनाका से शांति कालोनी, सिहावा चौक, अर्जुनी मोंड़ से संबलपुर बायपास होते हुए श्यामतराई बायपास से जगदलपुर की ओर जा सकते है।
शाम 4:00 बजे से शोभायात्रा के समाप्ति तक घडी चौक से विंध्यवासिनी मंदिर तक सभी प्रकार की छोटी बड़ी वाहनें सदर मार्ग में पूर्ण प्रतिबंध रहेगा। गंतव्य तक पहुंचने के लिए सदर मार्ग से लगे सहायक मार्गों से आवागमन किया जावेगा।शोभायात्रा के दौरान सादी वर्दी में तैनात जवानों एवं सीसीटीवी कैमरा के माध्यम से संदिग्ध व्यक्तियों एवं संदिग्ध गतिविधियों पर निगाह रखी जावेगी।




